Unfälle in Kreiseln

In der Schweiz stossen wir auf bekannte Herausforderungen bei der Gestaltung von Kreiseln, hauptsächlich aufgrund begrenzter verfügbarer Flächen. Es ist offensichtlich, dass es bei der Planung von Kreiseln nicht nur um deren Befahrbarkeit, sondern auch um die Verkehrssicherheit geht. Theoretisch wäre der Kreisel eine sichere Knotenform, wenn die wesentlichen Parameter wie der Durchmesser des Kreisels, die Fahrbahnbreite, Einfahrts- und Ablenkungswinkel (um nur einige zu nennen) berücksichtigt würden.

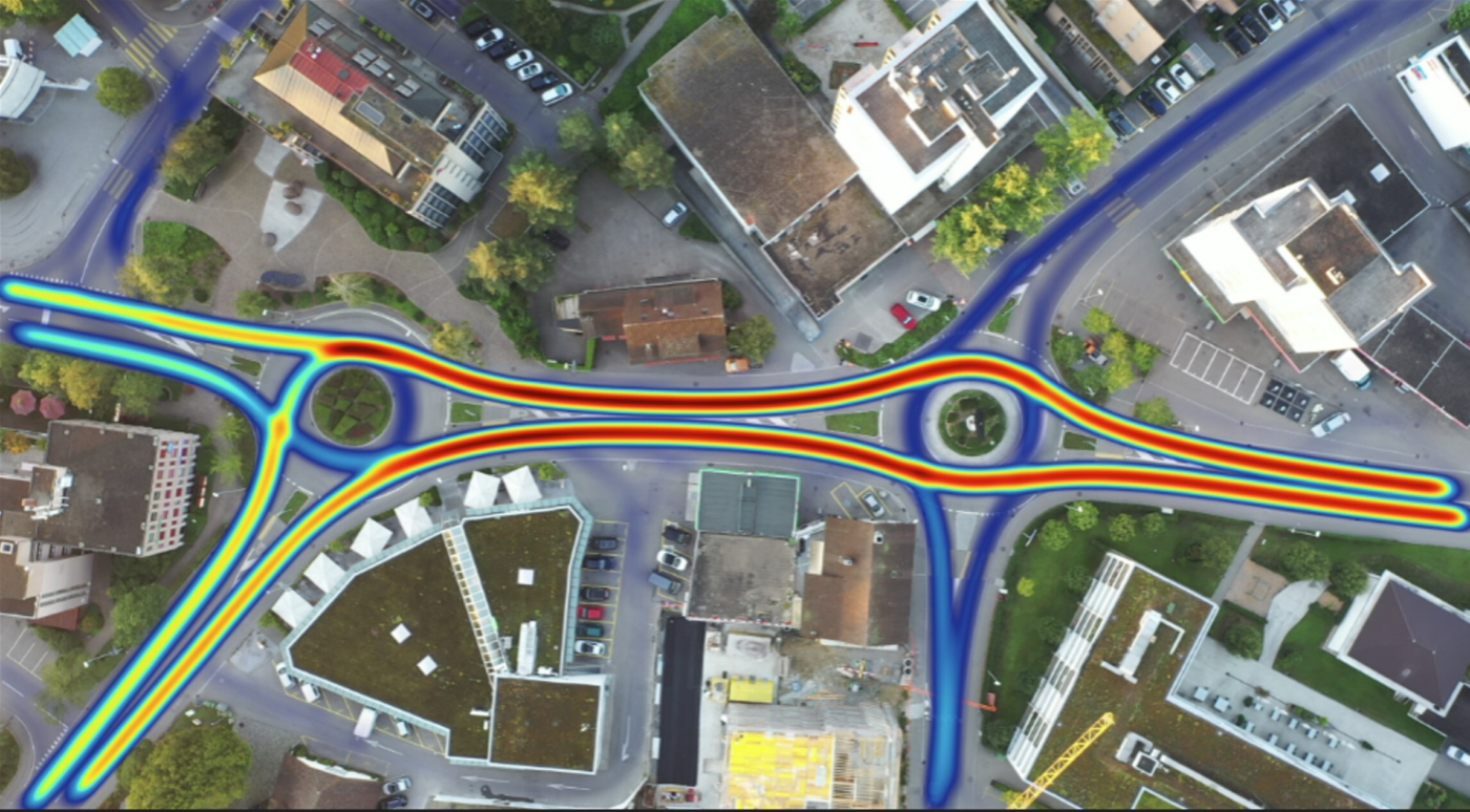
Theoretische Betrachtungen allein sind jedoch nicht ausreichend, um das Bewusstsein für die Verkehrssicherheit zu schärfen. Um die Problematik zu veranschaulichen, verwenden wir Drohnen und entsprechende Software, mit denen wir aufzeigen können, an welchen Stellen in den Kreiseln Gefahrenstellen bestehen. Es ist vergleichsweise einfach: Immer dort, wo zu schnell gefahren wird und die Fahrstreifenbelastung gross ist, steigt die Wahrscheinlichkeit eines Unfalls. Dementsprechend sind Mängel bei der Infrastruktur – Nichteinhaltung der Normen – feststellbar.

Im Video wurden zwei Arten von Auswertungen durchgeführt. Die erste Auswertung ist die Beschleunigungskarte, die dazu dient, Bereiche zu identifizieren, in denen Fahrzeuge beschleunigen oder abbremsen. Auf dieser Karte werden Orte, an denen stärker abgebremst wird, in wärmeren Farben dargestellt, während kühlere Bereiche Orte repräsentieren, an denen der Verkehr beschleunigt wird.
Die zweite Auswertung zeigt die Bewegungskarte, die die Belastung des Kreisverkehrs darstellt. "Heisse" Gebiete zeigen einen höheren Verkehrsaufkommen an, während "kalte" Gebiete Orte mit geringerem Verkehrsaufkommen darstellen.

Portraitfoto Daniel Imhof

Ihre Ansprechperson

Möchten Sie mehr zu diesem Thema erfahren?
Daniel Imhof ist Ihre Ansprechperson, telefonisch erreichbar unter +41 62 822 00 70 oder via E-Mail an d.imhof@pvg-solutions.ch